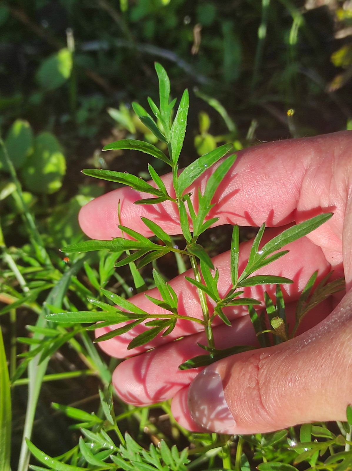
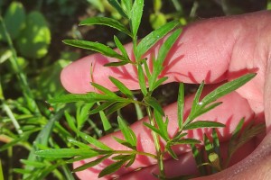
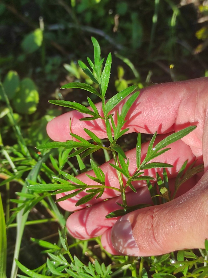
Silphiodaucus prutenicus (L.) Spalik, Wojew., Banasiak, Piwczyñski & Reduron subsp. dufourianus (Rouy & E.G.Camus) Reduron Sem validar
Salsa-brava
Localização
- Território: Galiza
- Província / distrito: A Coruña
- Município: Lousame
- Localidade: Xestoso, Concello de Lousame
Geolocalização
- 42.76060867309570 -8.78979778289795
Observações
- Fonte de dados: Observação direta
- Data de observação:
+ Hábitat
- Uso atualmente ativo: Não
