Comparador de imágenes de Plantae
-
- Esporangio
- Flor
- Fruto
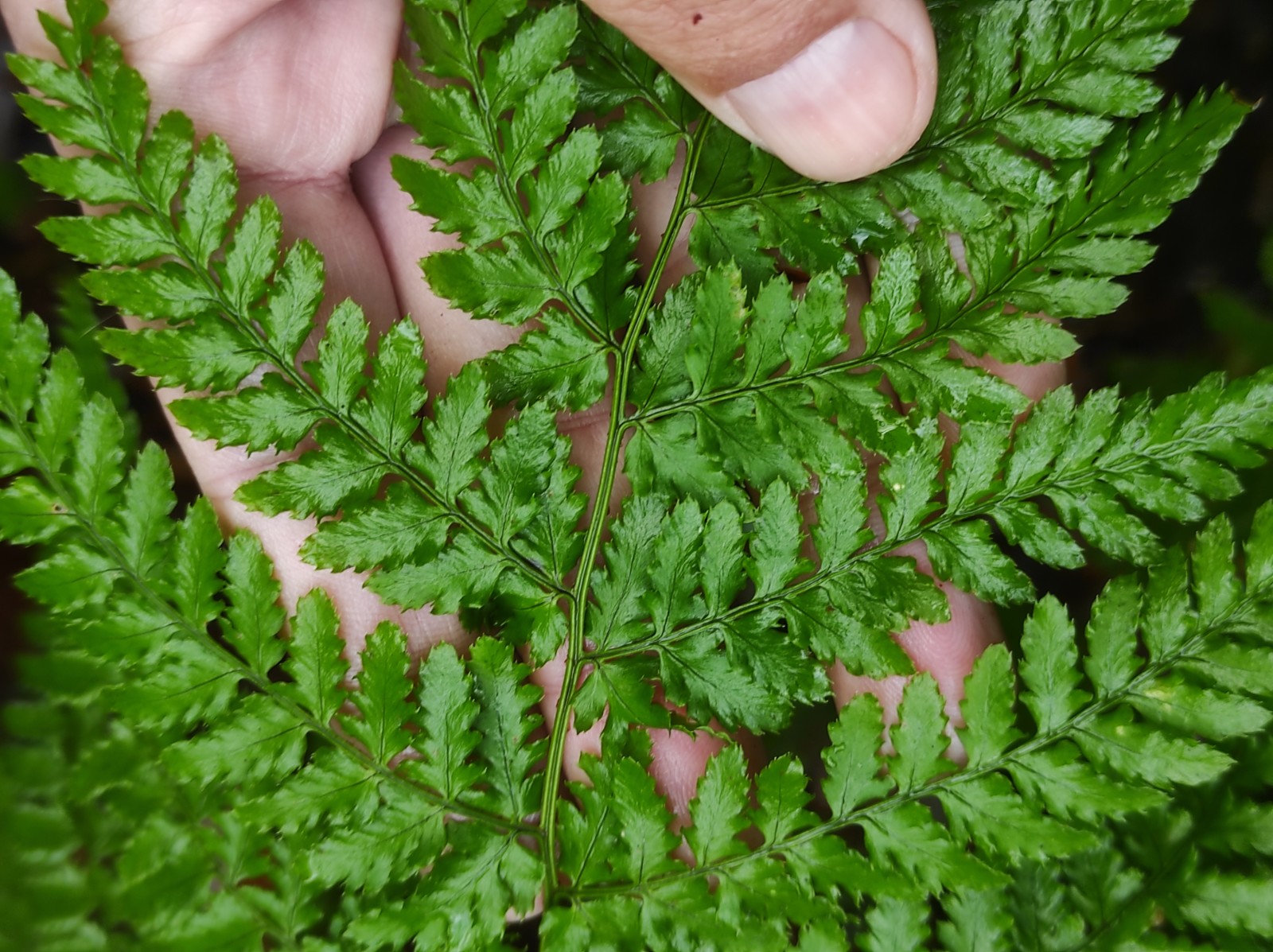
- Hoja
- Individuo
-
-
-































1/32 -
-
-





1/6 -








1/9
-
-











































