Comparador de imaxes de Plantae
-
- Esporanxio
- Flor
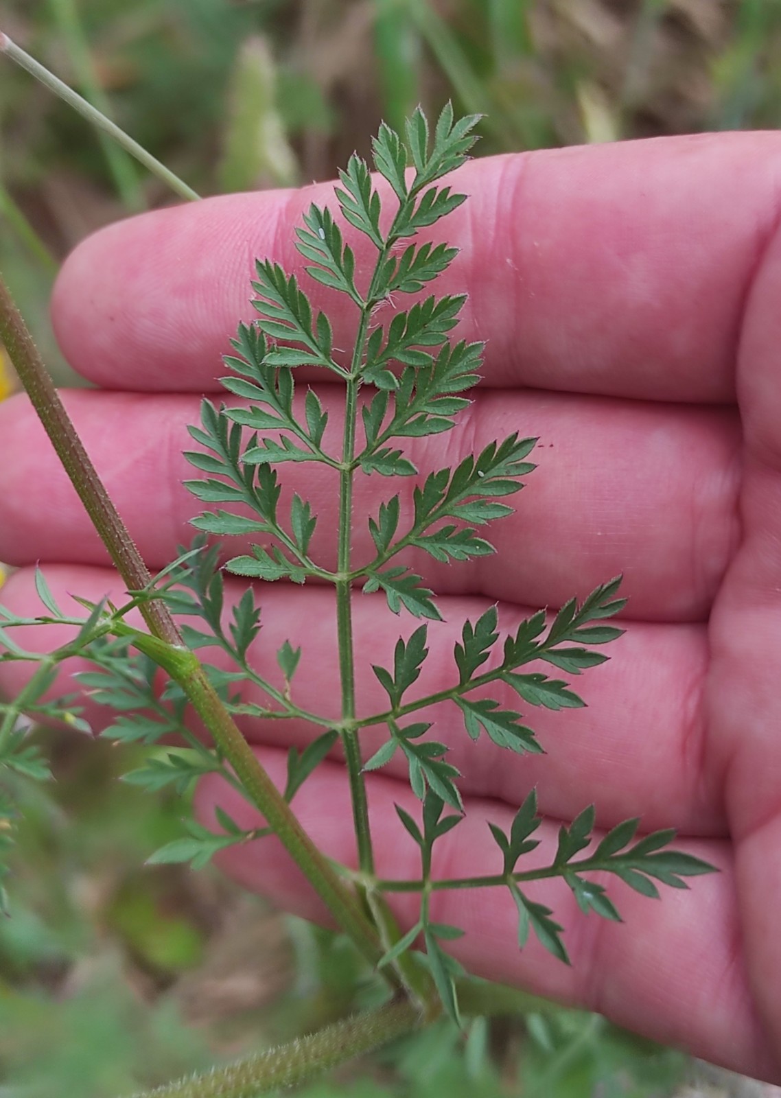
- Folla
- Froito
- Individuo
-
-
-









1/10 -
































1/33 -















1/16 -
-












1/13
-
-



































































