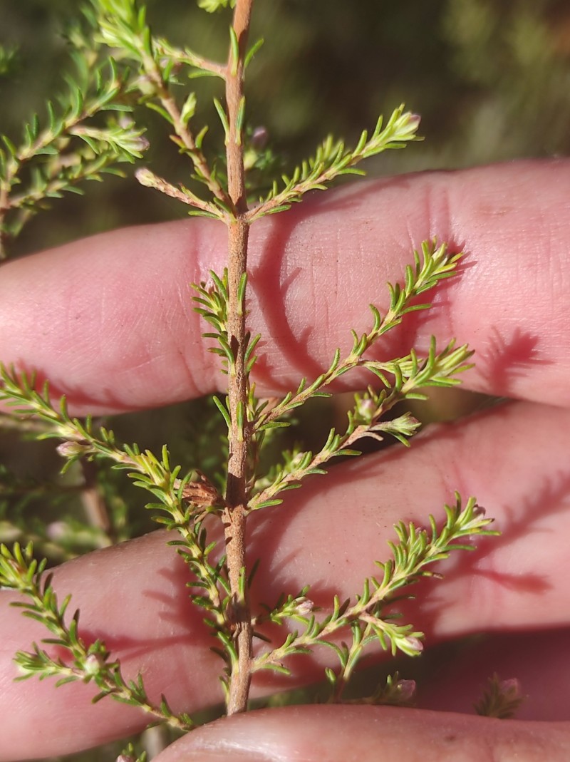
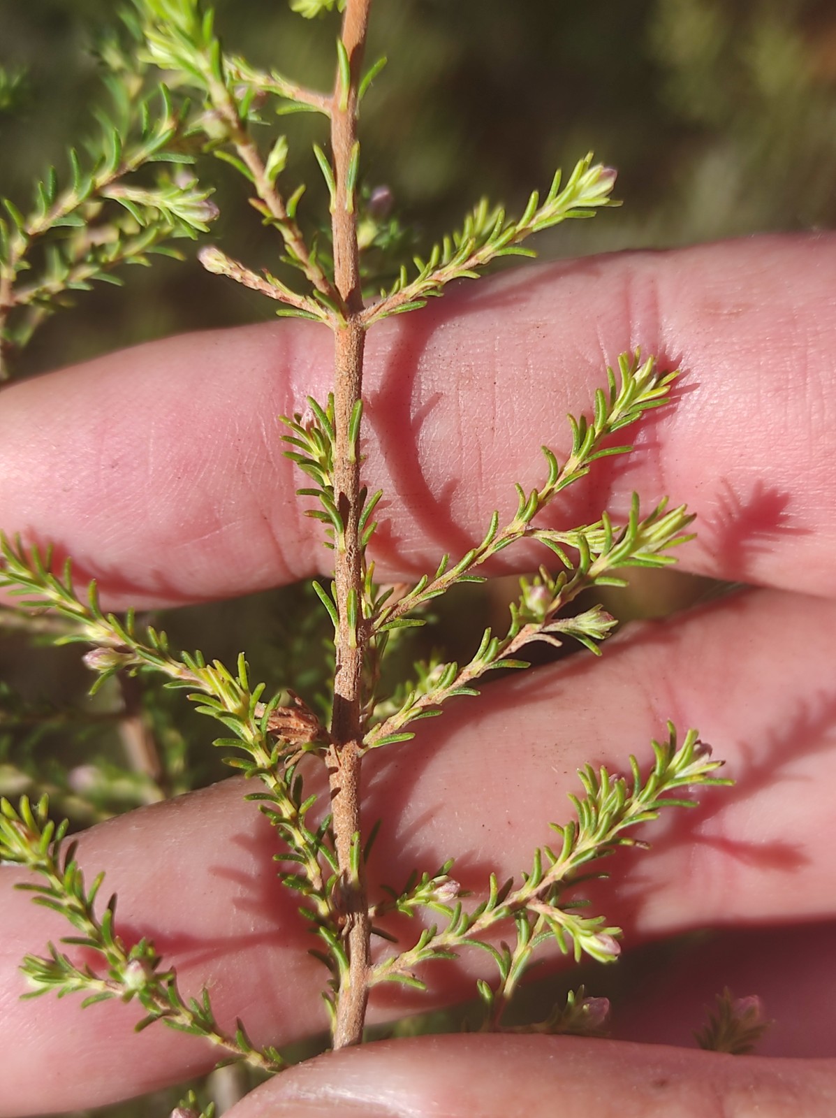
Erica australis L. Sen validar
Uz vermella
Localización
- Territorio: Galiza
- Provincia / distrito: A Coruña
- Concello: Curtis
- Localidade: O Cobradoiro, Concello de Curtis
Xeolocalización
- 43.17280578613281 -8.00576591491699
Observacións
- Fonte de datos: Observacion directa
- Data da observación:
+ Hábitat
- Uso actualmente activo: Non
