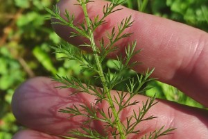
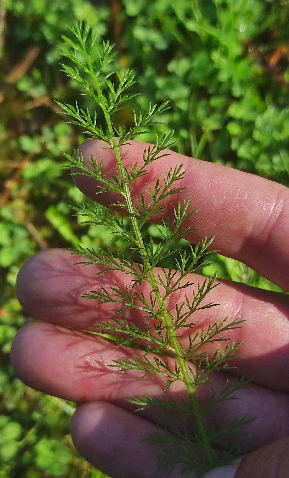
Achillea millefolium L. Sen validar
Milfollas
Localización
- Territorio: Galiza
- Provincia / distrito: A Coruña
- Concello: Coirós
- Localidade: Lesa, Concello de Coirós
Xeolocalización
- 43.23829269409180 -8.15348815917969
Observacións
- Fonte de datos: Observacion directa
- Data da observación:
+ Hábitat
- Uso actualmente activo: Non
